9/15 7:00am EDT Update: Odile made landfall near Cabo San Lucas, Mexico as major category 3 hurricane with maximum sustained winds at 125mph at about 925pm PDT overnight. An automated station on Cabo San Lucas reported a sustained wind at 89mph anda gust 116mph. As of the 5am Advisory, Odile is still moving north-northwest over the Baja California and has winds of 115mph. It will continue to weaken today over land. Edouard is now a category 2 hurricane with winds at 105mph. Edouard is likely to become the first major Atlantic hurricane of the season and remains no threat to land.
This post is update to previous post overnight on these storms:
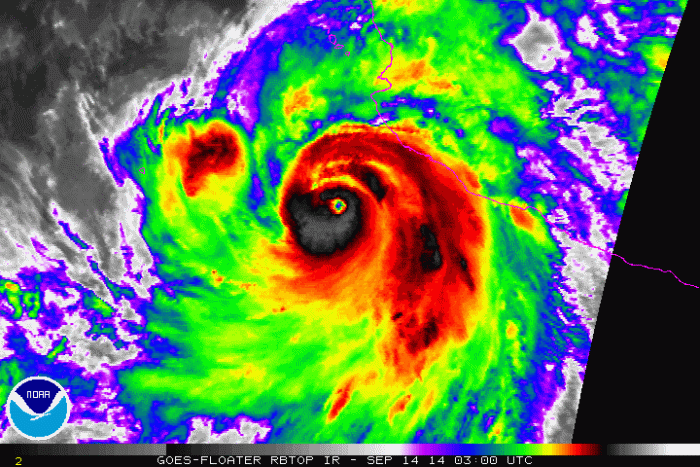
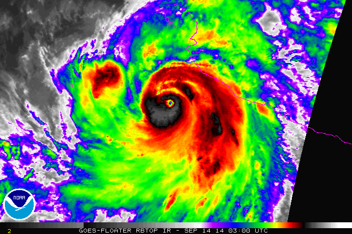
Odile continued to rapidly intensify overnight. It’s now major category 4 hurricane with maximum sustained winds at 135mph and is moving northwest at 14mph. It continues to be a threat to Baja California. The storm appears to now have a double eyewall and will likely go under an eyewall replacement cycle soon. Little in change in strength over next 24 to 36 hours, as comes very close to southern tip of Baja California. An aircraft reconnaissance is on route to the storm and should have a better assessment on the intensity. Hurricane warnings now stretch further to Punta Abreojos on the west coast of Baja California. Odile is expect to rapidly weaken, once it moves over cooler sea-surface temperatures off the central west coast of Baja California:
Edouard has become a category 1 hurricane in the Central Atlantic. The fourth hurricane of the Atlantic hurricane season. Maximum sustained winds are 80mph and it currently moving to the northwest at 14mph. An eye has become more visible in satellite imagery, over the past several hours. Edouard is now forecast to become a major category 3 hurricane. But it will remain no threat to any land. A large, deep trough over Eastern US and Western Atlantic will force Edouard to turn to north than northeast this week:
Rest of the tropical Atlantic looks quiet right now. Some medium to long-range models show tropical systems developing in the Caribbean or the Atlantic. However these models have low reliability, at this range and solutions could vary from run to run. People need to use extreme caution, using these model forecasts.











